28日タイラバ、タチウオ釣果
本日は一隻貸し切り便で出撃🔥オーダーはタチウオ便でしたが、タイラバで真鯛も狙いたいとのことで、オイシイ潮だけやりましょう!と、行き帰りに少しずつだけ挟みました✌
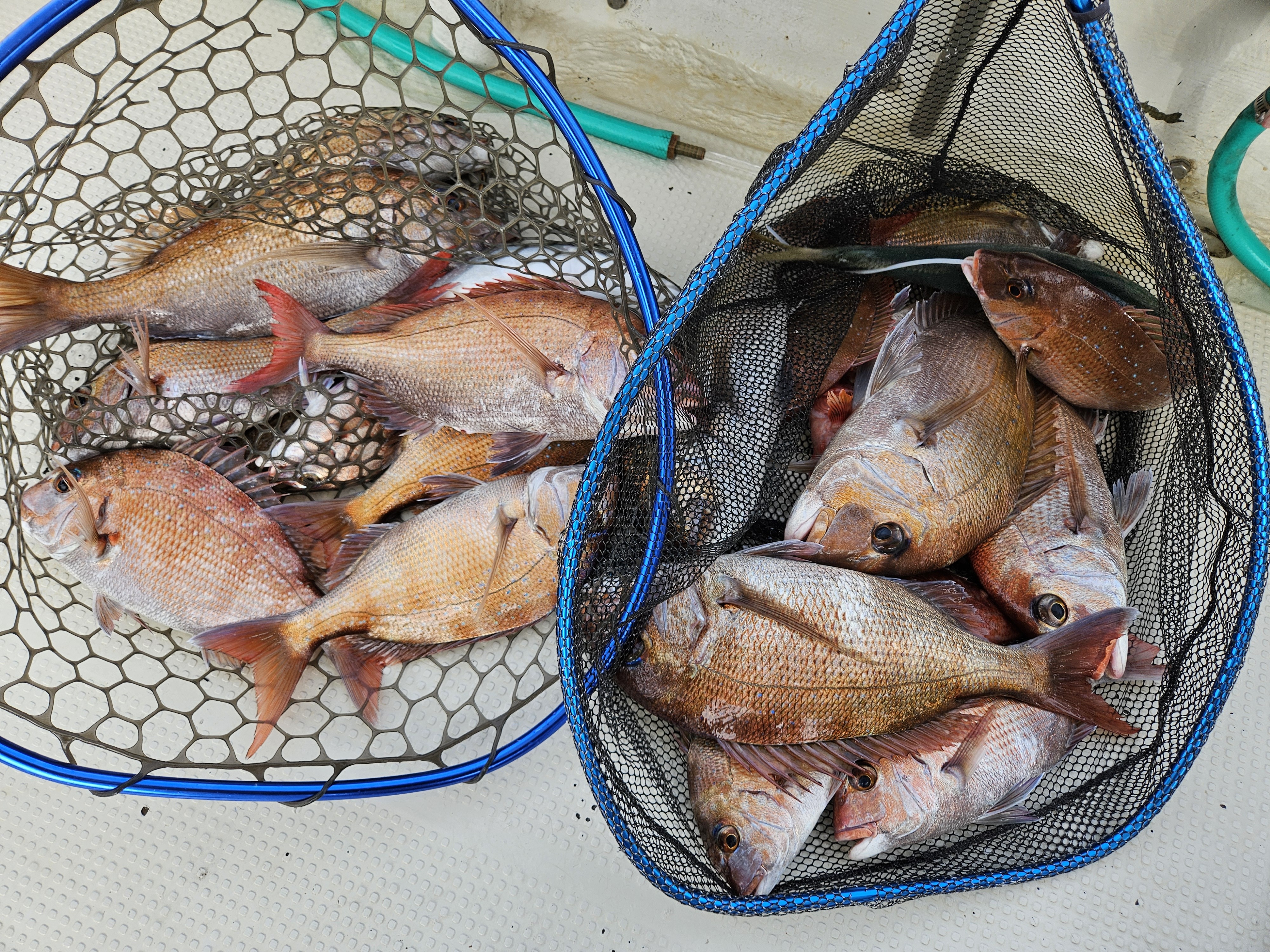
まずはタイラバから🔥
ポイント1流し目から良い反応を捉え、ダブルHITスタート✌


続々とHITコールに恵まれ🎉

いい感じ✌
ただ、25センチ前後のチャリコさんも良く混ざりましたので、必要分以外はリリースm(__)m
潮の兼ね合いで、一先ず竿を持ち替えタチウオ狩り😎
こちらはお土産程度となりましたが、皆様釣果に恵まれました✌
帰りにも良い反応ありタイ活スタート🔥


短い時間で良くあたり、楽しんでいただけたかと💡
トップの方で6枚🎉(リリース含む)
5枚、4枚の方、複数名おられ、ゲリラタイラバ長寸、匹数大会で盛り上がれました✌


御利用有り難う御座いましたm(__)m
2024年09月30日 19:15